Новозмайловский проспект в Петербурге продлят до Обводного канала
В Московском районе Петербурге планируется продление Новоизмайловского проспекта и строительство новой улицы, которая соединит его с Митрофаньевским шоссе.

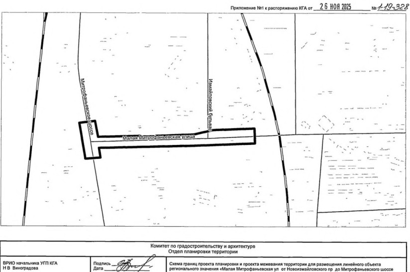
Комитет по градостроительству и архитектуре Петербурга распорядился подготовить проекты планировки территории (ППТ) для продления Измайловского проспекта и строительство новой улицы, которая соединит его с Митрофаньевским шоссе.
Новый участок Новоизмайловского проспекта пройдет по нынешнему Измайловскому бульвару – от Малой Митрофаньефской улицы. На нем обустроят движение в четыре полосы, следует из первого распоряжения. На Малой Митрофаньевской улице также обустроят движение в четыре полосы – сейчас на ней только две.
Сейчас Новоизмайловский проспект обрывается на пересечении с Благодатной улицей. То есть протянуть проспект планируют мимо станций метро «Элетросила», «Московские ворота» и «Фрунзенская» и под уже построенным участком ШМСД.
Кроме того, запланировано строительство новой улицы, которая соединит между собой Митрофаньевское шоссе и Измайловский бульвар (в будущем, видимо, участок Новоизмайловского проспекта). На улице №2 проложат движение в две полосы.
Как писала NSP, как раз на углу этой безымянной улицы и Митрофаньевского шоссе компания RBI собирается строить большой жилой комплекс, а склады, сейчас расположенные на территории, снести.
На участках под бывшим заводом «Балтиец» между Малой Митрофаньевской и Альбуминной тоже должны появиться многоэтажные жилые дома, две школы по 825 мест каждая, спортивный комплекс с общей площадью более 4 тыс. кв. м.
Из новостроек рядом уже построены жилые кварталы «Галактики» (более 36 га) от группы «Эталон».

